Tajfun je zvláštní případ tropické cyklóny - oblasti nízkého tlaku v podobě gigantického vzdušného víru. Ten filipínský jménem Haiyan připravil o život nejméně deset tisíc lidí a zdemoloval přístavní město Tacloban. Kde se ničivé bouře berou?
K nastartování tajfunu je třeba, aby bylo splněno šest hlavních podmínek: dostatečně teplá mořská hladina, atmosférické nestability, vysoká vlhkost ve spodních a středních vrstvách troposféry, Coriolisova síla, nějaká drobná porucha (třeba bouřka) a malý rozdíl v rychlosti větru v různých výškách. Teplý vzduch z mořské hladiny začne stoupat vzhůru. Pod budoucím okem tajfunu klesá tlak.
Pasáty, které vanou okolo rovníku, rostoucí bouři roztočí. Stoupající teplý vzduch zároveň způsobí další pokles tlaku ve velkých výškách. Systém začne nasávat víc teplého vzduchu z oblasti nad hladinou moře i studeného vzduchu z vyšších vrstev atmosféry.
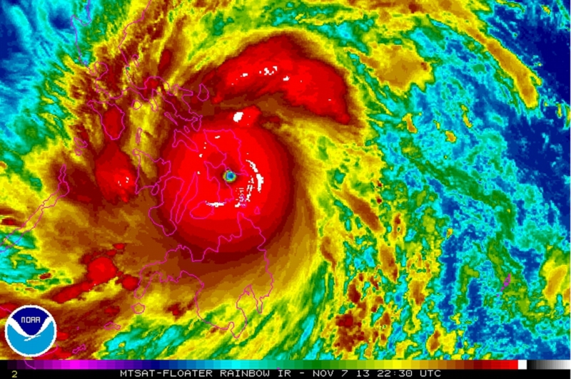
Jak se bouře přesunuje, nabírá stále víc teplého a vlhkého vzduchu. Čím víc ho naseje, tím víc stoupá rychlost větru. Během několika hodin nebo dní se vyvine v plnohodnotný tajfun. Ten se skládá z oka, v němž vane slabý vítr a panuje nízký tlak, obklopeného vírem silných větrů a dešťových mraků.
Útvar je vysoký deset až patnáct kilometrů. Meteorologové klasifikují tropické cyklóny pomocí Saffirovy-Simpsonovy stupnice hurikánů. Nejvyšší stupeň škály je vyhrazen pro bouře, v nichž rychlost větru překročí 69 metrů za sekundu. Rychlost větru v tajfunu Haiyan dosahovala až 87 metrů za sekundu.










